龅牙矫正费用是多少?生活中很多龅牙患者为自己的面部形象烦恼,希望早点摆脱龅牙畸形的痛苦,口腔医疗技术的发展,龅牙患者也想通过牙齿矫正改善牙齿问题,想对矫正费用有些了解,那么龅牙矫正费用是多少?
龅牙矫正的费用受很多方面的影响,具体有以下几方面:
一、患者的牙齿情况
因为龅牙有分“骨性龅牙”和“牙性龅牙”根据龅牙的性质不同,在治疗难易程度也是不同,需要采用的时间和方法等都是不一样的,所以龅牙矫正的费用也是不同的。
二、选择的医疗机构
正规的口腔医院不管是医院的医疗设备、医生技术、龅牙矫正的质量、信誉、服务都能得到保障,所以正规的口腔医院龅牙矫正费用会小诊所要高。专家指出为了保证龅牙矫正的效果还是建议患者到正规的医院进行龅牙矫正,以免造成不必要伤害。
三、医生的矫正技术
龅牙矫正否能达到更完美的效果与医生的水平有着很大关系,龅牙矫正不像其他牙齿疾病,它需要正畸医师密切关注患者每个时间段的牙位变化,来设计不同的矫正方案。因此选择不同的医生,在龅牙矫正费用也是有一定的出入。了解更多龅牙,点击在线咨询,直接与专家相互交流,详细咨询!
四、龅牙矫正的方法
目前针对牙性龅牙的矫正方法有插槽矫正、隐形矫正、美容冠矫正,针对“骨性龅牙”的矫正方法一般为手术矫正。采用不同的龅牙矫正方法,自然龅牙矫正费用多少也不一样。这需要根据每个人的自身条件而定。
中韩·唯美口腔牙齿矫正技术推荐
中韩·唯美口腔率先引进的韩式四维隐形正畸技术继承了传统的牙颌畸形矫治的理念,是现代口腔医学、计算机辅助四维诊断、个性化设计及数字化成型技术的完美结合,是正畸领域的新突破。韩式四维隐形正畸由知名专家坐诊,实现全程无痛无创快速疗法,专门治疗各种牙齿排列不整齐,咬合错位等牙齿形态问题,还你一口整齐、坚固耐用的健康原牙。推荐阅读:韩式隐形正畸
中韩·唯美口腔牙齿矫正专家推荐

李玉如,口腔正畸科。副教授,副主任医师,硕士生导师,口腔医学正畸专业硕士。1991年毕业于中山医科大学口腔系,一直从事口腔正畸的临床、教学和科研工作,临床经验丰富,并注重知识的学习更新,2004年硕士学位毕业。擅长正畸科各类牙颌畸形及疑难病例的矫治,对青少年反牙合、开牙合、功能性矫治、阻生牙的导萌牵引及成年人牙颌畸形、牙周病的正畸治疗有良好的疗效。点击在线咨询,了解牙齿矫正的优惠信息!在线预约可享更多优惠!
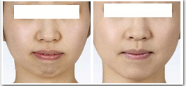
中韩·唯美口腔牙齿矫正前后对比图

温馨提示:还有其他疑问,可直接向我们的在线专家免费咨询!点击在线咨询。中韩·唯美口腔一直以“品质生活、从齿开始”为宗旨,为郑州民众提供专业技术和国内外牙医专属服务尊享体验。维持牙齿健康,从唯美开始。
相关感兴趣文章
豫公网安备 41010502002633号
免责声明:本网站近期将进行改版,网站所有内容及图片不做为任何法律依据。如有违反或者侵权,请及时联系更改。
网站医疗信息仅供参考,不能作为诊断及医疗依据 本网站内容部分来源转载于网络,不能作为任何法律依据!
请注意时效性,望知悉。如有违反或者侵权,请及时联系更正。